/
Data Last Updated: 04/30/2026 13:03 PT
$165,000
134days on marketSold$135,000 · February 23, 2026
Send a showing request for 0 5th ST, Lafayette, OR, 97127.
Hand-routed to Nate Brantley, Principal Broker & Founder. Same-day reply during business hours.
Sign in once with your email to send this showing request and keep spam out of the lead system.
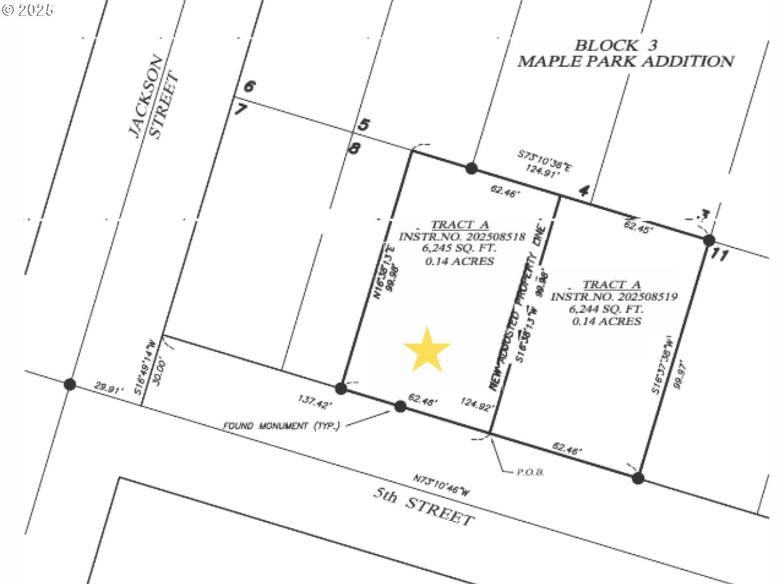
Flat, vacant lot for residential use, zoned R1 in the City of Lafayette. Build a single-family residence in a growing community with convenient access to McMinnville and Newberg. Lafayette sits in the heart of the Valley, surrounded by Oregon's beautiful wine country. The neighboring lot is listed separately.
Legal description
E 1/2 LOT 8 - BLOCK 3 IN MAPLE-PARK ADDITION
Walk Score® data provided by Walk Score